Category 4 Hurricane: What You Need To Know

O.Franklymedia 93 views
Category 4 Hurricane: What You Need To Know

Category 4 Hurricane: What You Need to Know

Hey there, weather enthusiasts! Ever wondered about the raw power of nature and how it’s classified? Today, we’re diving deep into the world of hurricanes , specifically the formidable Category 4 hurricanes . These storms are no joke, packing winds that can cause significant damage and pose a serious threat to life and property. So, buckle up, as we unravel the mysteries of these powerful systems, learning about their characteristics, the damage they inflict, and how to stay safe when one comes your way. Let’s get started, shall we?

Understanding Hurricane Categories

Before we zoom in on Category 4 hurricanes, let’s get a handle on the broader picture. Hurricanes, also known as tropical cyclones, are classified using the Saffir-Simpson Hurricane Wind Scale. This scale categorizes hurricanes based on their sustained wind speeds. It’s like a grading system, ranging from Category 1 (the weakest) to Category 5 (the strongest). The higher the category, the more intense the storm, and the more potential for damage. This scale helps us understand the intensity of the storm and the level of damage it could cause. It’s a key tool in helping people prepare for an incoming hurricane. This scale only takes into account wind speed and nothing else. Other factors, like storm surge, rainfall, and tornados, are considered separately. Understanding this scale is crucial for understanding the impact of any hurricane, especially Category 4 hurricanes . This categorization gives people a good idea of what to expect when a hurricane approaches their area.

The Saffir-Simpson Hurricane Wind Scale is a five-category system that’s all about wind speeds. Category 1 hurricanes have sustained winds of 74-95 mph, Category 2 storms clock in at 96-110 mph, and Category 3 hurricanes have winds from 111-129 mph. Now, when we get to Category 4 hurricanes , we’re talking serious power. These storms boast sustained winds of 130-156 mph. And then there’s Category 5, the big daddy of hurricanes, with winds exceeding 157 mph. When a hurricane is named a category, this refers to the sustained wind speeds at the eye of the storm. The wind speed is the determining factor in the level of the hurricane. The potential damage and risk is what increases as the number increases, which is why it is extremely important to pay attention to these categories.

So, what does it all mean? Well, each category comes with its own set of potential impacts. From Category 1, you can expect some damage to buildings and trees. As you move up the scale, the damage potential increases significantly. Category 2 storms can cause more extensive damage, and by the time you hit Category 3, you’re looking at major destruction. Category 4 hurricanes , the focus of our article, bring widespread devastation, while Category 5 storms can be absolutely catastrophic. That’s why understanding these categories is so important. They help us understand the potential risks and to prepare and take the necessary precautions. This is why knowing about hurricanes and their categories is extremely important. We can do so much in the way of safety and protection by simply paying attention to the warnings and taking them seriously.

The Anatomy of a Category 4 Hurricane

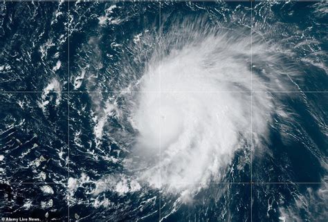
Alright, let’s get into the nitty-gritty of a Category 4 hurricane . These storms are a force to be reckoned with, and understanding their anatomy can help us appreciate their power. At their core, hurricanes are essentially massive, swirling storms that form over warm ocean waters near the equator. They’re fueled by the heat and moisture of the ocean. They take in warm moist air and then release it, forming clouds. As the air rises and cools, water vapor condenses, forming the towering thunderstorms that are characteristic of hurricanes. This process releases latent heat, which further warms the air and fuels the storm. This is why these storms are extremely powerful. A hurricane’s structure is a complex system, with several key components. At the center of the storm is the eye, a relatively calm area with light winds and often clear skies. It’s like the eye of a tornado, calm but deadly. Surrounding the eye is the eyewall, a ring of intense thunderstorms where the storm’s strongest winds and heaviest rainfall are found. The eyewall is where most of the hurricane’s power is concentrated. The rainbands are spiraling bands of thunderstorms that extend outward from the eyewall. These bands contain heavy rainfall and strong gusts of wind. They can be hundreds of miles long and cause significant damage as they move through an area.

When we look at a Category 4 hurricane , all of these components are amplified. The eyewall is particularly intense, with sustained winds ranging from 130 to 156 mph. These winds can cause catastrophic damage, tearing apart buildings, uprooting trees, and tossing vehicles like toys. The storm surge, the abnormal rise of water generated by the storm, is also significant in a Category 4 hurricane. This can cause severe flooding along coastal areas, inundating homes and infrastructure. The rainbands can dump torrential rainfall, leading to widespread flooding. The combined effects of wind, storm surge, and rainfall make Category 4 hurricanes incredibly dangerous. The effects can be felt over a large area, causing significant loss of life and property. That’s why when a Category 4 hurricane is predicted, it’s essential to take it very seriously and to be prepared for all the possible impacts. The preparations that are made can be the difference between life and death. Understanding the anatomy of a hurricane is key to understanding the risks. From there, we can develop the right strategies to stay safe. Staying informed and heeding the warnings of local authorities is extremely important. These hurricanes are powerful, but with the right preparation and knowledge, the risks can be reduced. It’s very important to realize how much power these storms have.

Potential Damage Caused by Category 4 Hurricanes

Now, let’s talk about the damage. Category 4 hurricanes are not to be taken lightly. The potential for destruction from these storms is truly immense. The sustained winds, as we’ve mentioned, can reach up to 156 mph. These winds can cause catastrophic damage to buildings, especially those not built to withstand such forces. Roofs can be ripped off, walls can collapse, and windows can shatter. The damage to homes and businesses is often extensive, leaving residents and business owners to rebuild from the ground up. Trees can be uprooted, power lines can be downed, and debris can become deadly projectiles. Cars can be tossed around like toys. The impact of the wind is not to be underestimated. The wind is responsible for most of the damage that occurs with a hurricane. It is important to know this, so you can do what’s necessary to stay safe.

Storm surge is another major threat. Category 4 hurricanes often produce a significant storm surge, which can flood coastal areas with several feet of water. The surge can inundate homes and businesses, causing massive damage and displacing residents. The storm surge can also erode beaches and coastlines, altering the landscape. The combination of wind and storm surge is devastating, causing widespread destruction along the coast. It is extremely important to heed the warnings that are given and follow any instructions. Rainfall is also a major concern. Category 4 hurricanes can bring torrential rainfall, leading to widespread inland flooding. Rivers and streams can overflow their banks, inundating homes and businesses far from the coast. The flooding can also wash away roads and bridges, isolating communities. This can make it difficult for emergency responders to reach those in need. The combination of wind, storm surge, and rainfall makes Category 4 hurricanes incredibly dangerous. The damage can be widespread, affecting everything from homes and businesses to infrastructure and ecosystems. These storms are truly a force to be reckoned with. This is why it is so important to stay informed about weather updates and emergency warnings. When a category 4 hurricane is expected, it is important to take it very seriously and take all the necessary safety precautions.

Safety Tips During a Category 4 Hurricane

Surviving a Category 4 hurricane requires careful planning and quick action. First things first, before a hurricane approaches, make sure you have a hurricane preparedness kit. This should include essentials like water, non-perishable food, a first-aid kit, a flashlight, batteries, and any necessary medications. Have a plan for how you’ll evacuate if necessary. Know your evacuation route and where you’ll go. It’s important to listen to local authorities and follow their instructions. Secure your home. Board up windows, reinforce doors, and bring in any outdoor furniture or objects that could become projectiles. If you are ordered to evacuate, do so immediately. Don’t wait until the last minute. It’s important to move to higher ground away from the coast. Follow the evacuation route and instructions from local authorities. During the hurricane, stay indoors in a safe location. Stay away from windows and doors. The safest place is usually an interior room on the lowest level of your home. Monitor weather updates and stay informed about the storm’s progress. Be aware of potential hazards, such as downed power lines and flooding. After the hurricane has passed, be cautious. Don’t go outside until it’s safe. Watch out for downed power lines, debris, and structural damage. Avoid floodwaters, as they can be contaminated. This is a very dangerous time to be out. Contact your insurance company to report any damage and start the recovery process. The recovery process will take time. Stay patient and work with your neighbors and community to rebuild.

During a Category 4 hurricane , there are a few additional things to keep in mind. Stay informed. Monitor weather updates and warnings from the National Hurricane Center and local authorities. Be aware of potential hazards. These include flooding, storm surge, and tornadoes. Take any warnings seriously. Stay in a safe location. If you are not in an evacuation zone, stay indoors in a safe room. If you are in an evacuation zone, evacuate. Protect yourself from flying debris. Stay away from windows and doors. Seek shelter in an interior room on the lowest level of your home. Be prepared for power outages. Have flashlights, batteries, and a generator. Be careful after the storm. Do not go outside until it’s safe. Avoid floodwaters, downed power lines, and structural damage. The hurricane is a dangerous time and taking the proper steps can save your life. By being prepared, staying informed, and taking the right precautions, you can increase your chances of staying safe during this type of extreme weather event.

Conclusion: Staying Safe

In conclusion, Category 4 hurricanes are formidable forces of nature, capable of causing widespread destruction and posing a significant threat to life and property. Understanding their characteristics, the damage they can inflict, and how to stay safe is crucial for anyone living in or near hurricane-prone areas. Remember the key takeaways. Know the Saffir-Simpson Hurricane Wind Scale. Understand the potential impacts of a Category 4 hurricane, including wind damage, storm surge, and flooding. Prepare for a hurricane by having a preparedness kit, developing an evacuation plan, and securing your home. During a hurricane, stay informed, stay indoors, and stay safe. After the hurricane, be cautious and follow safety guidelines. By taking these steps, you can greatly reduce your risk and increase your chances of surviving these powerful storms. Remember, staying informed and prepared is the best defense against the destructive power of a hurricane. Stay safe out there, folks! And always remember, the weather can be unpredictable, so it’s best to be ready for anything.