Hurricane Helene Satellite: Tracking The Storm

O.Franklymedia 115 views
Hurricane Helene Satellite: Tracking The Storm

Hurricane Helene Satellite Video: Tracking the Storm

Introduction to Hurricane Helene

Alright, guys, let’s dive into what’s happening with Hurricane Helene! Understanding hurricanes like Helene involves a mix of science, technology, and a bit of real-time tracking. We rely heavily on satellite imagery to keep tabs on these massive storms. This article will explore how satellite videos help us monitor and predict the behavior of hurricanes, focusing specifically on Hurricane Helene. You’ll learn about the technology behind these videos, what meteorologists look for when analyzing them, and why it all matters for those in the storm’s path. So, buckle up as we explore the fascinating world of hurricane tracking through the lens of satellite technology!

The Science Behind Hurricane Formation

Before we get into the satellite stuff, let’s quickly recap how hurricanes form. Hurricanes , or tropical cyclones, are essentially giant heat engines. They need warm ocean waters (at least 80°F or 27°C) to fuel them. This warm water evaporates, rises, and then cools, releasing heat in the process. This heat fuels the storm, causing it to grow and intensify. As the air rises, it creates an area of low pressure at the surface, which sucks in more air. This inward spiraling of air is what gives hurricanes their characteristic swirling shape. The Coriolis effect, caused by the Earth’s rotation, deflects the moving air, making the storm rotate counterclockwise in the Northern Hemisphere and clockwise in the Southern Hemisphere. The whole process is a complex dance of thermodynamics and atmospheric dynamics!

The Role of Satellites in Tracking Hurricanes

Now, let’s talk about the tech that helps us keep an eye on these beasts. Satellites are indispensable tools for tracking hurricanes. They provide a bird’s-eye view of the storm, allowing meteorologists to monitor its size, shape, and intensity. There are two main types of satellites used for hurricane tracking: geostationary and polar-orbiting. Geostationary satellites hover over a fixed spot on the Earth, providing continuous coverage of the same area. This is super useful for watching how a hurricane evolves over time. Polar-orbiting satellites, on the other hand, circle the Earth from pole to pole, providing detailed images of the storm from different angles. These images help meteorologists assess the hurricane’s structure and strength. Together, these satellites give us a comprehensive picture of the hurricane, helping us make accurate forecasts and issue timely warnings.

Understanding Satellite Imagery

Satellite imagery is the bread and butter of hurricane tracking, guys. Interpreting satellite images isn’t as simple as just looking at a picture; it requires a trained eye to decipher the data and understand what it means for the storm’s future. Let’s break down the types of satellite imagery and what they reveal about hurricanes like Helene.

Types of Satellite Imagery

There are several types of satellite imagery that meteorologists use to track hurricanes, each providing different information about the storm:

  • Visible Imagery: This is what you’d see with your own eyes if you were floating in space. Visible imagery shows the clouds and their structure, giving us a sense of the storm’s size and shape. However, it only works during daylight hours because it relies on sunlight to illuminate the clouds.
  • Infrared Imagery: Infrared imagery measures the temperature of the clouds. Colder clouds are higher in the atmosphere and are often associated with stronger storms. Meteorologists use infrared imagery to identify the areas of the hurricane with the most intense thunderstorms.
  • Water Vapor Imagery: This type of imagery detects water vapor in the atmosphere. It helps meteorologists see the flow of moisture around the hurricane, which can influence its development and track.
  • Microwave Imagery: Microwave imagery can penetrate through clouds, giving us a view of the storm’s core, even when it’s obscured by thick cloud cover. This is particularly useful for estimating the hurricane’s intensity and structure.

Interpreting Hurricane Helene Satellite Videos

So, how do meteorologists use these images in video form to understand Hurricane Helene? By analyzing the movement and changes in cloud patterns, temperature, and moisture, they can:

  • Track the Storm’s Path: Satellite videos show the hurricane’s movement over time, allowing meteorologists to predict where it’s headed. This is crucial for issuing warnings to communities in the storm’s path.
  • Assess the Storm’s Intensity: By monitoring the cloud temperatures and structure, meteorologists can estimate the hurricane’s wind speed and overall strength. This helps them categorize the storm and communicate the potential impacts to the public.
  • Identify Changes in Structure: Satellite videos can reveal subtle changes in the hurricane’s structure, such as the formation of an eye or the development of eyewall replacement cycles. These changes can indicate whether the storm is strengthening or weakening.
  • Predict Future Behavior: By combining satellite data with computer models, meteorologists can make predictions about the hurricane’s future behavior, including its intensity, track, and potential impacts.

Key Indicators in Satellite Videos

Okay, let’s get down to the nitty-gritty of what experts look for in these satellite videos. Key indicators in satellite videos can tell meteorologists a lot about a hurricane’s health and potential impact. Think of it like reading a weather report, but with visuals!

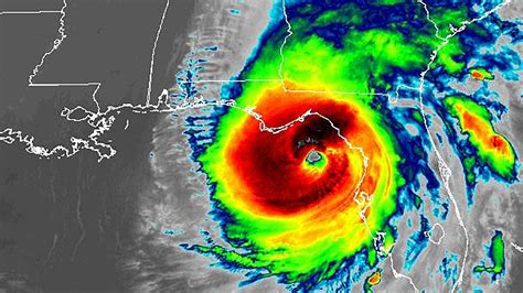
The Eye of the Storm

The eye is the calm, clear area at the center of the hurricane. A well-defined eye, visible in satellite imagery, typically indicates a strong, organized storm. The size and shape of the eye can also provide clues about the hurricane’s intensity. A small, circular eye often suggests a very intense hurricane, while a larger, ragged eye may indicate a weaker storm. Changes in the eye’s appearance over time can signal whether the hurricane is strengthening or weakening. For example, if the eye becomes smaller and more distinct, it could mean the hurricane is intensifying.

Eyewall Structure

The eyewall is the ring of intense thunderstorms that surrounds the eye. It’s where the hurricane’s strongest winds and heaviest rainfall occur. The structure of the eyewall, as seen in satellite imagery, is a key indicator of the hurricane’s strength. A solid, symmetrical eyewall suggests a stable, intense hurricane. However, hurricanes can undergo eyewall replacement cycles, where a new eyewall forms outside the original one. This process can temporarily weaken the hurricane, but it often leads to a stronger storm in the long run.

Cloud Top Temperatures

As mentioned earlier, infrared satellite imagery measures the temperature of the clouds. Colder cloud tops indicate higher altitudes and stronger thunderstorms. Meteorologists look for the coldest cloud tops in the eyewall to identify the areas of the hurricane with the most intense convection. The colder the cloud tops, the stronger the updrafts and the more intense the rainfall. By monitoring cloud top temperatures over time, meteorologists can track changes in the hurricane’s intensity and predict its future behavior.

Outflow Patterns

Outflow refers to the way air flows out of the top of the hurricane. Strong, well-defined outflow is a sign that the hurricane is efficiently venting heat and moisture, which can help it intensify. Meteorologists look for outflow channels in satellite imagery, which are areas where the air is flowing away from the storm. The presence of strong outflow channels suggests that the hurricane is well-organized and has the potential to strengthen. Conversely, weak or disorganized outflow can indicate that the hurricane is struggling to maintain its intensity.

The Importance of Real-Time Monitoring

Real-time monitoring via satellite isn’t just cool to watch; it’s absolutely vital for saving lives and protecting property. Let’s explore why keeping a constant eye on these storms is so important.

Accurate Forecasting

Real-time satellite data feeds directly into weather models, which are used to forecast the hurricane’s track and intensity. The more accurate the data, the more reliable the forecast. Accurate forecasts allow emergency managers to make informed decisions about evacuations and resource allocation. They also give the public time to prepare for the storm, such as stocking up on supplies and securing their homes. Without real-time monitoring, forecasts would be much less accurate, and the potential for loss of life and property damage would be much greater.

Timely Warnings

Satellite monitoring enables meteorologists to issue timely warnings to communities in the path of the hurricane. These warnings give people time to evacuate to safer locations or take other precautions to protect themselves and their property. The earlier the warning, the more time people have to prepare. Satellite data also helps meteorologists refine their warnings as the hurricane approaches, providing more specific information about the expected impacts, such as storm surge, high winds, and heavy rainfall. These refined warnings help people make better decisions about how to respond to the storm.

Evacuation Planning

Effective evacuation planning relies on accurate information about the hurricane’s track, intensity, and potential impacts. Real-time satellite data provides emergency managers with the information they need to make informed decisions about when and where to issue evacuation orders. They can use satellite imagery to identify the areas most at risk from storm surge and high winds, and they can use weather models to predict how the hurricane will affect different communities. This information helps them develop evacuation plans that prioritize the safety of the public and minimize the risk of traffic congestion and other problems.

Resource Allocation

During a hurricane, resources such as food, water, medical supplies, and emergency personnel are in high demand. Real-time satellite data helps emergency managers allocate these resources effectively by providing them with a clear picture of the areas most affected by the storm. They can use satellite imagery to assess the extent of the damage and identify the communities in greatest need of assistance. This information helps them prioritize resource distribution and ensure that aid reaches those who need it most.

Conclusion

So, there you have it, folks! Satellite videos are an indispensable tool in tracking hurricanes like Helene. From understanding the storm’s formation to predicting its path and intensity, satellite imagery provides critical information that helps us stay safe. The next time you see a hurricane on the news, remember the incredible technology behind those images and the dedicated scientists who work tirelessly to keep us informed. Stay safe out there!