Hurricane Helene Tracker: Google Earth Map & Real-time Updates

O.Franklymedia 139 views
Hurricane Helene Tracker: Google Earth Map & Real-time Updates

Hurricane Helene Tracker: Google Earth Map & Real-time Updates

Hey everyone, are you ready to dive into the exciting world of Hurricane Helene and how we can track it using a Google Earth Map ? It’s like having a superpower, allowing us to see exactly where this powerful storm is, how it’s moving, and what its potential impacts might be. In this article, we’ll explore everything you need to know about tracking Hurricane Helene, from understanding its current location to using amazing tools like Google Earth for real-time visualization. So, grab your virtual binoculars and let’s get started!

Understanding Hurricane Helene and Its Importance

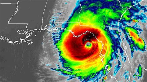
First things first, what exactly is Hurricane Helene, and why should we care? Hurricane Helene was a significant tropical cyclone that formed during the 2018 Atlantic hurricane season. It was a powerful storm that, while it didn’t make landfall, posed a threat to several regions due to its size and intensity. Understanding hurricanes like Helene is crucial for several reasons. Primarily, it’s about safety and preparedness . Being able to track a hurricane helps communities and individuals prepare for potential impacts such as strong winds, heavy rainfall, and coastal flooding. The early warnings and tracking information provided by organizations like the National Hurricane Center (NHC) are essential for making informed decisions about evacuations, securing property, and stocking up on supplies. It’s important to stay informed about severe weather events to protect yourself and your loved ones. Further, studying hurricanes like Helene gives valuable insights into climate change. They are essential for understanding the intensity, and frequency of these storms, as warmer ocean temperatures and other climate-related factors can influence their behavior. By analyzing hurricanes, scientists improve their forecast models and gain insights that can help predict future storms more accurately. The more we understand about these storms, the better we can protect our homes, families, and communities. That’s why having access to tools like Google Earth Maps is so important – it empowers us with real-time data and visual representations of the storm, allowing us to stay informed and safe.

The Role of Tracking in Hurricane Preparedness

Tracking a hurricane is not just about watching a storm move across a map. It’s about a complex process of data collection, analysis, and dissemination that is essential for disaster preparedness. Scientists and meteorologists use various tools and technologies to gather information about a hurricane. This includes satellite imagery, weather radar, aircraft reconnaissance, and surface observations. This data is then analyzed to determine the storm’s current location, intensity, movement, and potential impacts. The information gathered is shared with the public through various channels, including government agencies, news outlets, and weather apps. The accuracy of these forecasts is always improving, allowing us to receive more reliable warnings. Early warning systems are crucial, as they give people and local authorities the necessary time to prepare and take protective actions. Tracking allows for better resource allocation . For instance, emergency responders can be positioned ahead of time to help impacted areas. It is all about giving people the opportunity to prepare and stay safe. It also helps to assess damage and ensure people are safe. Hurricane tracking is an important process that requires a collective effort of scientists, meteorologists, and government agencies to ensure that everyone is informed and protected. When tracking a hurricane, we must use many resources to stay informed. From Google Earth Maps to all kinds of weather apps, there are so many tools to help us.

Using Google Earth for Hurricane Tracking

Alright, let’s get down to the fun part: using Google Earth to track Hurricane Helene . Google Earth is an awesome tool that lets you explore our planet in a three-dimensional view. It’s not just for admiring landscapes; you can also use it to get real-time information about weather events like hurricanes. Let’s see how:

Step-by-Step Guide to Using Google Earth for Hurricane Tracking

  1. Download and Install Google Earth: If you don’t already have it, download and install the latest version of Google Earth Pro on your computer. It’s free and available for both Windows and Mac. Be sure to get the Pro version; it has more advanced features.
  2. Open Google Earth: Once installed, open Google Earth Pro. You’ll be greeted with a detailed, interactive map of the world.
  3. Find the Hurricane Tracking Layer: This is where the magic happens! To track a hurricane, you need to find a data layer that displays hurricane information. The official National Hurricane Center (NHC) or other weather websites often provide KML or KMZ files. KML (Keyhole Markup Language) and KMZ (Keyhole Markup Language Zipped) are file formats used to display geographical data in Google Earth. Download the relevant KML or KMZ file for Hurricane Helene (or any other hurricane you’re tracking). If you can’t find a specific file for Helene, search for general hurricane tracking layers.
  4. Import the KML/KMZ File: In Google Earth, go to