Hurricane Ian: Upgraded To Devastating Category 5

O.Franklymedia 148 views
Hurricane Ian: Upgraded To Devastating Category 5

Hurricane Ian: Upgraded to Devastating Category 5

Hey everyone, let’s talk about Hurricane Ian , a storm that’s quickly become a major concern. As of the latest updates, Ian has been upgraded to a Category 5 hurricane , and trust me, that’s not good news. In this article, we’ll dive into what this upgrade means, the areas that are most at risk, and what you should be doing to stay safe. So, buckle up, because we’re about to get into some serious weather talk.

What Does a Category 5 Hurricane Mean, Anyway?

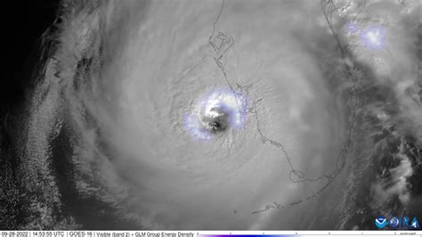
Alright, first things first: What does it actually mean when a hurricane is classified as Category 5? Well, the Saffir-Simpson Hurricane Wind Scale is what we use to measure hurricane intensity, and Category 5 is the top of the scale. This means we’re talking about sustained winds of at least 157 mph (252 km/h). Think about that for a second. That’s like a small jet plane taking off, but instead of being in the air, those winds are tearing through everything in their path. The potential for devastation is off the charts. Homes can be completely destroyed, trees are ripped from the ground like matchsticks, and power outages can last for weeks, even months. The storm surge, which is the rise in sea level caused by the hurricane, can be absolutely catastrophic, flooding entire communities and causing unimaginable damage. Category 5 hurricanes are rare, but when they hit, they’re history-makers, and unfortunately, Ian is shaping up to be one of them. The upgrade to Category 5 signifies a level of intensity and destructive power that demands the utmost attention and respect. It’s not just about the wind; it’s about the combination of wind, storm surge, and torrential rainfall. These factors can create a perfect storm of destruction, impacting not just the immediate coastline but also areas further inland. We’re talking about a multi-faceted threat that requires comprehensive preparation and awareness. The upgrade to Category 5 is a stark reminder of the power of nature and the importance of taking these warnings seriously. Always pay attention to the warnings.

Where is Hurricane Ian Headed and Who is at Risk?

So, where is Ian going, and who’s in the firing line? All eyes are on Florida right now, particularly the southwestern coast. The projected path has Ian making landfall somewhere in that area, and the potential impact is massive. Cities like Fort Myers, Cape Coral, and Naples are in the direct path of the storm, and they’re bracing for a direct hit. But it’s not just the immediate coastline that’s at risk. As Ian moves inland, the effects will be felt across a much wider area. Heavy rainfall is expected to cause flooding in central Florida, and even areas further north could experience strong winds and dangerous conditions. The forecast can change, and the exact path of the hurricane is still somewhat uncertain, but the general consensus is that a significant portion of the Sunshine State is in the crosshairs. Officials have issued mandatory evacuation orders for many areas, and if you’re in an evacuation zone, please, please heed those warnings. Don’t take chances. Your life and the lives of your loved ones are worth more than any material possessions. Stay informed, listen to local authorities, and be prepared to act quickly. The threat from Hurricane Ian is very real, and the potential consequences are severe. Being prepared can make the difference between survival and tragedy. The situation is constantly evolving, so it’s critical to stay updated on the latest forecasts and warnings.

Preparing for the Worst: What You Need to Do Now

Okay, so what can you do to prepare for a Category 5 hurricane? This is where things get serious, guys, but don’t panic. The key is to be proactive and take the necessary steps now , before it’s too late. Here’s a quick checklist to get you started:

  • Evacuate if you’re told to. This is the most important thing you can do to protect yourself. If you’re in an evacuation zone, leave! Don’t wait until the last minute.
  • Secure your home. Close and board up windows and doors. Bring in any outdoor furniture, trash cans, and anything else that could be blown away by the wind. If you have time, reinforce your garage door.
  • Gather supplies. Stock up on non-perishable food, water (at least one gallon per person per day), medications, flashlights, batteries, a first-aid kit, and any other essentials you might need. Make sure you have enough supplies to last for several days, possibly even a week or more, in case of power outages and limited access to stores.
  • Stay informed. Monitor local news, weather reports, and official alerts. Have multiple ways to receive information, such as a battery-powered radio, a NOAA weather radio, and your cell phone. Be prepared for power outages and disruptions to communication services.
  • Protect your important documents. Keep your important papers, such as insurance policies, identification, and medical records, in a waterproof bag or container.
  • Make a plan. Have a plan for where you will go if you need to evacuate, and make sure your family knows the plan. Consider where you will stay, how you will get there, and what you will bring. Communicate with your loved ones and make sure everyone understands the plan. Stay calm, and keep everyone’s safety at the forefront.

The Aftermath: What to Expect After the Storm

Once the storm has passed, the real work begins. The aftermath of a Category 5 hurricane can be devastating, with widespread damage to homes, businesses, and infrastructure. Power outages can last for days or even weeks. Roads may be blocked by debris, making it difficult to access essential services. The first priority after the storm will be assessing the damage and ensuring that people are safe and accounted for. Search and rescue operations will be launched in areas that are hardest hit, and emergency responders will work tirelessly to help those in need. After the initial search and rescue efforts, the focus will shift to providing basic necessities, such as food, water, and shelter. The recovery process will be a long and challenging one, requiring the combined efforts of local, state, and federal agencies, as well as volunteer organizations. It’s essential to stay patient and support each other during this difficult time. Be prepared for extended recovery periods, and be mindful of potential hazards such as downed power lines, contaminated water, and structural damage. Follow the guidance of local authorities and always prioritize safety. The emotional toll of a hurricane can be significant. It’s important to take care of your mental health and seek support if you need it. Remember that you are not alone, and there are resources available to help you through this difficult time. The community will come together to help each other, and it will take time to rebuild, but the resilience of the human spirit will get everyone through.

Staying Safe: Key Takeaways

To wrap things up, the upgrade of Hurricane Ian to Category 5 is a stark reminder of the power of nature and the importance of preparedness. Here are the key takeaways:

  • Take the warnings seriously. Category 5 hurricanes are incredibly dangerous, and you need to take every precaution to protect yourself.
  • Evacuate if you’re told to. Your life is the most important thing. Don’t hesitate to leave if you’re in an evacuation zone.
  • Prepare your home. Secure your property to minimize damage.
  • Stock up on supplies. Have enough food, water, and other essentials to last for several days.
  • Stay informed. Monitor the latest weather reports and official alerts.
  • Have a plan. Know what you will do if you need to evacuate and communicate this to your family.

Stay safe out there, folks. We’ll continue to provide updates as Ian moves closer to landfall. Remember, your safety is the most important thing. We hope everyone makes it through this storm okay, and we will get through this, together!