INOAA Hurricane Satellite Tracker: Your Guide To Storm Tracking

O.Franklymedia 7 views
INOAA Hurricane Satellite Tracker: Your Guide To Storm Tracking

INOAA Hurricane Satellite Tracker: Your Guide to Storm Tracking

Hey everyone, let’s dive into something super important: understanding how we track those wild storms, especially hurricanes. We’re going to explore the INOAA Hurricane Satellite Tracker , a critical tool that helps us stay safe and informed during hurricane season. This isn’t just about looking at pretty pictures; it’s about understanding the science, the technology, and how you can use this incredible resource to prepare and protect yourselves. So, grab a seat, maybe a snack, and let’s get started. We’ll break down everything from what the tracker is, how it works, and why it’s so essential, to how you can easily access and use it to stay ahead of the storm.

What is the INOAA Hurricane Satellite Tracker?

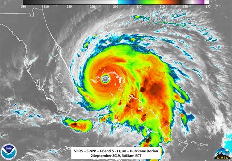
So, what exactly is the INOAA Hurricane Satellite Tracker , and why is it such a big deal, right? Well, it’s essentially a sophisticated system run by the National Oceanic and Atmospheric Administration (NOAA). This system uses a network of satellites to continuously monitor weather patterns, specifically focusing on tropical cyclones like hurricanes, typhoons, and cyclones. Think of these satellites as high-tech eyes in the sky, constantly scanning the Earth’s surface and atmosphere. They collect a massive amount of data, including cloud formations, wind speeds, sea surface temperatures, and rainfall. This data is then processed and analyzed to provide real-time information on the location, intensity, and movement of hurricanes. This real-time data is critical for meteorologists, emergency responders, and the public. It helps everyone to make informed decisions about preparedness, evacuations, and resource allocation. The INOAA Hurricane Satellite Tracker isn’t just one single tool; it’s an entire infrastructure of satellites, ground stations, and powerful computing systems working in sync to provide us with the most up-to-date and accurate information possible. This includes visual satellite images, but also other information like wind speed and direction, giving a comprehensive view of the storm’s current state and its predicted path.

The beauty of the INOAA Hurricane Satellite Tracker lies in its accessibility. The information is available to everyone, from weather experts to the average person checking their phone. This democratization of weather data is a game-changer. It means everyone can be informed, prepared, and ready to respond to potential threats. The tracker provides various types of data. Some data are visual, like satellite images showing the storm’s physical structure, the size, the eye and how it is moving. Other data, such as wind speed, atmospheric pressure, and even the storm’s intensity, are available. This information helps people assess the threat and take appropriate action. We’ll show you how to read these maps and understand the information in the next section. These features collectively make the INOAA Hurricane Satellite Tracker an essential tool for protecting lives and property during hurricane season.

How the INOAA Hurricane Satellite Tracker Works

Alright, let’s get into the nitty-gritty of how this amazing INOAA Hurricane Satellite Tracker actually works. It’s pretty fascinating stuff! The core of the system is, as we mentioned, a fleet of sophisticated satellites orbiting the Earth. These aren’t just any satellites; they are packed with advanced instruments designed to collect different kinds of data. Some satellites carry instruments called radiometers, which measure the infrared and visible light reflected or emitted from the Earth. By analyzing this data, scientists can determine cloud cover, cloud top temperatures, and even the amount of water vapor in the atmosphere. Other satellites use microwave sensors. These are particularly useful for seeing through clouds and rain to get a clearer picture of the storm’s structure. These sensors can measure wind speed near the ocean’s surface and estimate the intensity of the hurricane. The satellites work in concert, capturing data around the clock, covering the entire globe. This constant stream of information is crucial for tracking storms as they develop, move, and change. The satellites don’t just collect data; they beam it back to Earth to a network of ground stations. These stations act as data hubs, receiving the signals and feeding them into massive computer systems for processing.

Once the data arrives on the ground, it goes through a complex process of analysis. Advanced computer models and algorithms are used to interpret the data, create visualizations, and generate forecasts. Meteorologists then review this information, combine it with other weather data, and produce the detailed reports and maps we see on the news and online. The INOAA Hurricane Satellite Tracker’s effectiveness comes from the constant cycle of data collection, processing, and analysis. Every piece of data contributes to a comprehensive understanding of the storm. This information is constantly updated, allowing forecasters to provide the most current and accurate information possible. The system is designed to provide warnings in advance, which gives people time to prepare and take appropriate action. This whole process is a remarkable combination of space technology, computer science, and meteorological expertise, working together to keep us safe during hurricane season.

Accessing and Using the INOAA Hurricane Satellite Tracker

Okay, now that you know what the INOAA Hurricane Satellite Tracker is and how it works, let’s talk about how you can access and use it. The good news is that it’s super easy to get your hands on this critical information. NOAA makes a lot of its data readily available to the public through its website and various other channels. The primary source for hurricane tracking information is the National Hurricane Center (NHC) website. This is your go-to resource for the latest forecasts, advisories, and maps. You can find detailed information on active storms, including their current location, projected path, wind speeds, and potential impacts. The NHC website offers various interactive maps. These maps allow you to see the storm’s projected path over time, as well as the areas under threat of different hazards, such as storm surge and heavy rainfall. You can also find the satellite imagery, which lets you see the storm’s physical structure and how it is evolving. To access the INOAA Hurricane Satellite Tracker, you can search for “NOAA Hurricane Tracker” or “National Hurricane Center” in your favorite search engine. The results will typically take you directly to the NHC website. The website is regularly updated, especially during hurricane season, so check back frequently for the latest information. Other resources like weather apps and news websites also integrate INOAA’s data. These resources offer quick access to the information, which makes it easy to stay informed on the go. When using the tracker, pay attention to the key information. Check for the storm’s current location, its projected path, and the intensity. Understand the different colors and symbols. The colors represent the storm’s potential hazards and areas under threat. Use the information to prepare, and follow the recommendations of local authorities.

Understanding Hurricane Maps

Alright, folks, let’s break down those hurricane maps because they can look a little confusing at first glance. But, trust me, once you understand the key elements, you will be able to interpret them with ease. The primary feature of any hurricane map is the storm’s track. This is typically represented by a line showing the predicted path of the storm’s center. Along this line, you’ll see circles or cones. These circles represent the forecast uncertainty – the larger the circle, the more uncertainty there is in the storm’s predicted path. The cone of uncertainty is a critical element, showing the probable path of the storm’s center. While the storm’s center is expected to stay within the cone about two-thirds of the time, the impacts of the storm, like heavy rain and strong winds, can extend far outside of the cone. Hurricane maps also include information on the storm’s intensity, which is usually represented by color-coded wind speed bands. These bands show the areas where certain wind speeds are expected. The color-coding is usually standardized, so you can easily understand the wind threat levels. Besides wind speeds, you will also see information on other hazards, like storm surge and rainfall. These hazards are usually represented with shaded areas or specific symbols on the map. Pay close attention to these areas, as they indicate regions at risk of flooding and other impacts. Also, keep an eye out for watches and warnings. Hurricane watches indicate that hurricane conditions are possible within the specified area. Hurricane warnings mean that hurricane conditions are expected within the specified area. It is important to know the difference between the watches and warnings and take the appropriate actions. By understanding the elements of hurricane maps, you can better assess the threat to your area and make informed decisions to stay safe.

Preparing for a Hurricane with Information from the Tracker

Okay, guys, so you’ve learned how to read the maps and understand the data. Now, let’s talk about how to actually use the INOAA Hurricane Satellite Tracker to prepare for a hurricane. The first and most important thing is to stay informed. Regularly check the NHC website, local news, and weather apps for the latest updates on any developing storms. Make sure you understand the current watches and warnings for your area. The data from the tracker provides crucial information about the hurricane’s potential impacts. Think about the risk of high winds, heavy rain, storm surge, and inland flooding. Based on this information, assess your risk and make a plan. Start by identifying your evacuation zone. If you live in a low-lying area or a zone at risk of storm surge, you might be required to evacuate. Familiarize yourself with the evacuation routes and shelters in your area. Develop a family emergency plan, including a communication plan. Decide how to contact each other if separated and designate a meeting place. Assemble an emergency kit with essential supplies like food, water, medications, flashlights, batteries, and a first-aid kit. Prepare your home by securing loose objects, trimming trees, and reinforcing windows and doors. Board up windows or install storm shutters to protect your home from wind damage. Have a plan for how to protect your property and valuables. Make sure your insurance policies are up to date and that you understand what is covered. Listen to the advice of local authorities. They are your best resource for staying safe during a hurricane. By taking these steps and staying informed, you can significantly reduce the risks associated with hurricanes and protect yourselves, your loved ones, and your property.

The Future of Hurricane Tracking

Finally, let’s quickly look ahead to the future of hurricane tracking . The technology is constantly evolving, and there are many exciting developments on the horizon. Scientists are working on more sophisticated models that will improve the accuracy of hurricane forecasts. These models are now more complex and use advanced data and processing. They also allow for better predictions of the storm’s intensity and track. There are also new advancements in satellite technology. Future satellites will have more advanced sensors, allowing for more detailed data collection. These sensors will provide better information on the storm’s structure and behavior. Scientists are also exploring the use of artificial intelligence and machine learning to improve weather forecasting. These technologies can help analyze vast amounts of data more quickly and accurately, leading to better predictions. The goal is to provide even more advance warnings to help people prepare for the storms. The continuous progress in tracking technology is good news. It increases our ability to protect lives and property during hurricane season. The future of hurricane tracking promises more accurate forecasts, more reliable data, and improved warning times. This will help make our communities safer and more resilient to these powerful storms.