NOAA Satellite Hurricane Tracker: Your Ultimate Guide

O.Franklymedia 87 views
NOAA Satellite Hurricane Tracker: Your Ultimate Guide

NOAA Satellite Hurricane Tracker: Your Ultimate Guide

Hey everyone! Ever wondered how we keep tabs on those massive storms brewing out in the ocean? Well, it’s all thanks to the NOAA satellite hurricane tracker , a super cool system that lets us monitor hurricanes from space. This guide is your one-stop shop to understand everything about NOAA satellites and how they help us stay safe during hurricane season. We’ll dive into what these satellites are, how they work, and why they’re so incredibly important for tracking hurricanes and predicting their paths. So, grab a snack, sit back, and let’s explore the fascinating world of NOAA’s hurricane-tracking technology!

What is the NOAA Satellite Hurricane Tracker?

So, what exactly is the NOAA satellite hurricane tracker ? Basically, it’s a network of satellites operated by the National Oceanic and Atmospheric Administration (NOAA) that orbits Earth, constantly monitoring our planet. These aren’t just any satellites; they’re equipped with specialized instruments designed to observe everything from weather patterns to ocean temperatures and, of course, hurricanes. These satellites provide a bird’s-eye view, gathering data that helps meteorologists understand a hurricane’s intensity, size, and movement. This information is crucial for issuing timely warnings and keeping people informed about potential threats. Think of them as the ultimate weather watchers in the sky, always on the lookout for danger.

These satellites come in two main flavors: geostationary and polar-orbiting. Geostationary satellites, like the GOES series (Geostationary Operational Environmental Satellites), stay in a fixed position relative to the Earth, providing continuous monitoring of a specific region. This is perfect for watching hurricanes develop and move in real-time. Polar-orbiting satellites, on the other hand, travel around the Earth from pole to pole, giving a more global view. They gather detailed information about atmospheric conditions and sea surface temperatures, which helps in predicting hurricane formation and intensity. Both types of satellites work together, providing a comprehensive picture of the weather.

The Importance of NOAA Satellites in Hurricane Tracking

Why are these satellites so important? The NOAA satellite hurricane tracker plays an irreplaceable role in keeping us safe during hurricane season. They provide a continuous stream of data that helps meteorologists track the location, intensity, and movement of hurricanes. Without this information, it would be much harder to predict where a hurricane will go, how strong it will be, and who might be affected. The satellites use several instruments, including advanced imagers and sounders, to gather data on cloud patterns, wind speeds, and precipitation. This data is then fed into sophisticated computer models that forecast a hurricane’s path. These models are constantly refined and improved, thanks to the data from NOAA satellites. And because these satellites have such an advanced ability, it allows forecasters to give warnings and evacuation orders that save lives.

How NOAA Satellites Track Hurricanes

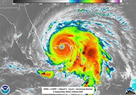
Alright, let’s get into the nitty-gritty of how the NOAA satellite hurricane tracker actually works. It’s a pretty fascinating process that involves a lot of cool technology! Satellites use a variety of instruments to observe hurricanes. One of the primary tools is the imager, which captures visible and infrared images of the storm. The visible images show us what we’d see if we were looking at the hurricane from space, while infrared images detect the temperature of the cloud tops. Colder cloud tops indicate more intense thunderstorms, which helps meteorologists assess the hurricane’s strength. Another key instrument is the sounder, which measures the temperature and humidity of the atmosphere. This helps in understanding the overall atmospheric conditions surrounding the hurricane. They’re also equipped with special sensors that measure wind speeds, rainfall rates, and even the size of the storm.

Data Collection and Analysis

The data collected by these instruments is then transmitted back to Earth, where it’s analyzed by meteorologists and fed into computer models. These models use complex algorithms to predict the hurricane’s path and intensity. The models take into account various factors, such as wind patterns, sea surface temperatures, and the storm’s current location and movement. The data from the satellites is crucial for these models, constantly updating and refining the predictions. This detailed analysis leads to accurate forecasts, which is essential for issuing timely warnings and preparing for potential impacts.

Real-Time Monitoring and Forecasting

Thanks to the NOAA satellite hurricane tracker , we have access to real-time information about hurricanes. This means that meteorologists can monitor storms as they develop, providing regular updates on their location, intensity, and expected path. The continuous data stream allows for quick adjustments to forecasts as needed. This real-time monitoring is critical during a hurricane. It allows for quick adjustments to forecasts as new data becomes available. This is also how we get those awesome graphics and animations you see on TV and online, showing the hurricane’s path and projected impacts. That real-time data allows emergency managers and the public to stay informed and make informed decisions.

Types of NOAA Satellites Used for Hurricane Tracking

Let’s get specific about the types of NOAA satellites involved in hurricane tracking. As mentioned earlier, there are two main categories: geostationary and polar-orbiting satellites. Each type plays a unique role in monitoring hurricanes, working in tandem to provide a comprehensive view of the storms and their behavior. Understanding the differences between these satellites is key to understanding how NOAA tracks hurricanes.

Geostationary Satellites (GOES)

Geostationary satellites, like the GOES series, are positioned in a fixed location above the Earth’s equator. This means they can continuously monitor the same region, providing real-time data on weather conditions. This is perfect for tracking hurricanes as they develop and move. GOES satellites are equipped with advanced imagers that capture high-resolution images of cloud formations, storm systems, and other weather phenomena. They also have instruments that measure things like cloud-top temperatures, which are useful for assessing a hurricane’s intensity. Since they are continuously providing data, meteorologists can watch a hurricane’s every move. GOES satellites also provide valuable data for short-term forecasting, helping to predict where a hurricane will make landfall in the next few hours or days.

Polar-Orbiting Satellites (POES)

Polar-orbiting satellites, or POES, travel around the Earth from pole to pole. This gives them a global perspective on weather patterns. These satellites are particularly useful for gathering detailed information about atmospheric conditions and sea surface temperatures. This data is essential for predicting where and when hurricanes might form. POES satellites are equipped with instruments that can measure things like wind speeds, rainfall rates, and the size of a storm. They provide valuable information for long-term forecasting. Because they have a global view, they help meteorologists monitor weather patterns worldwide, which can influence hurricane development. The combined data from both geostationary and polar-orbiting satellites gives meteorologists the most comprehensive view possible, leading to more accurate forecasts and earlier warnings.

The Technology Behind NOAA Hurricane Tracking

Now, let’s dive into some of the cool technology that makes the NOAA satellite hurricane tracker work. It’s a blend of advanced sensors, sophisticated data processing, and cutting-edge communication systems. The instruments aboard these satellites are pretty remarkable, allowing them to gather all kinds of information about hurricanes, from their size and intensity to their potential impact. This is like having a fleet of high-tech eyes in the sky, constantly watching over us.

Advanced Instruments and Sensors

At the heart of the NOAA satellite hurricane tracker are its advanced instruments and sensors. The imager is one of the primary tools. It captures visible and infrared images of hurricanes, providing valuable information about cloud patterns and temperatures. The sounder measures the temperature and humidity of the atmosphere, giving meteorologists a better understanding of the overall conditions around the storm. Other instruments measure wind speeds, rainfall rates, and sea surface temperatures. These sensors use different wavelengths of light and radiation to gather data, each providing a unique piece of the puzzle. This helps create a detailed picture of the hurricane and its environment.

Data Processing and Analysis

The data collected by these sensors is transmitted back to Earth, where it’s processed and analyzed using sophisticated computer models. These models use complex algorithms to predict a hurricane’s path, intensity, and potential impacts. Meteorologists carefully analyze the data, making adjustments to the models as needed. The processed data is then used to create forecasts, warnings, and other products that are shared with the public and emergency managers. This entire process relies on powerful computers and expert analysis.

Communication Systems

Communication is key when it comes to hurricane tracking. Satellites use advanced communication systems to transmit data back to Earth. This includes powerful radio transmitters and sophisticated receiving stations. The satellites must be able to send large amounts of data quickly and reliably. The data is received at ground stations, where it’s processed and distributed to meteorologists and other users. The communication system also allows for the control and management of the satellites from the ground. Maintaining this continuous flow of information is critical for providing timely and accurate forecasts.

The Impact of NOAA Satellite Tracking on Public Safety

So, how does all this technology affect public safety? The NOAA satellite hurricane tracker has a HUGE impact. Its data provides critical information that allows meteorologists to issue timely and accurate warnings, which is essential for protecting lives and property. Accurate forecasts help people prepare for a hurricane, and early warnings give people time to evacuate if necessary. This can save lives and prevent injuries. The satellites also help emergency managers make informed decisions, such as where to allocate resources and how to coordinate evacuations. They provide detailed information about the hurricane’s path and intensity. This data helps to reduce the impact of these devastating storms. NOAA’s investment in satellite technology is an investment in public safety.

Early Warnings and Evacuation Planning

One of the most significant benefits of NOAA’s hurricane tracking is its ability to provide early warnings. By monitoring hurricanes from space, meteorologists can identify potential threats and issue warnings before the storm makes landfall. This early warning system gives people time to prepare their homes and evacuate if necessary. Effective evacuation planning is critical during a hurricane. These warnings give people the time they need to gather their belongings and seek shelter. NOAA’s satellite data helps emergency managers make informed decisions about evacuation routes and resource allocation.

Reducing Property Damage and Loss of Life

The NOAA satellite hurricane tracker also helps to reduce property damage and loss of life. By providing accurate forecasts, people can take steps to protect their homes and businesses. This includes boarding up windows, securing outdoor items, and moving to higher ground. The more precise the information about the hurricane’s path and intensity, the better prepared people can be. The constant monitoring of hurricanes helps to provide valuable data for search and rescue operations. This minimizes the devastation caused by hurricanes, helping people to recover and rebuild faster. The ability to monitor hurricanes from space has become an invaluable tool for protecting coastal communities.

Future of Hurricane Tracking with NOAA Satellites

What does the future hold for the NOAA satellite hurricane tracker ? The technology is constantly evolving, and there are some exciting developments on the horizon. NOAA is always working to improve its satellite systems, using the latest advancements in technology to track and predict hurricanes more accurately. This includes new satellites with enhanced sensors and better data processing capabilities, all designed to make the system more robust and efficient. These improvements will enhance the accuracy and timeliness of hurricane forecasts, which can save even more lives.

Advancements in Satellite Technology

There are several key advancements happening in satellite technology. New satellites will have improved sensors, allowing them to gather more detailed information about hurricanes. This includes high-resolution imagery, which provides a clearer view of storm systems. Improved data processing capabilities will lead to faster and more accurate forecasts. These advancements will also include the use of artificial intelligence and machine learning to analyze the vast amounts of data collected by the satellites. AI can identify patterns and make predictions that humans might miss, potentially improving the accuracy of hurricane forecasts. These advancements promise to significantly enhance NOAA’s ability to track and predict hurricanes, protecting lives and property.

Enhancing Forecast Accuracy

The ultimate goal is to enhance forecast accuracy, providing more reliable information to the public and emergency managers. NOAA is focused on reducing the uncertainty in hurricane forecasts, allowing people to make better decisions about their safety. This can reduce the time windows for evacuations and provide more accurate predictions about the intensity and track of a hurricane. As NOAA’s forecasting ability improves, we will be better prepared to face the next hurricane season. The future of hurricane tracking looks bright, with continued investments in technology and innovation.

How to Access NOAA Hurricane Tracking Information

Alright, so you want to know how you can access the NOAA satellite hurricane tracker data and stay informed during hurricane season? It’s pretty easy! NOAA provides a wealth of information through various channels. You can use this information to stay informed and safe during hurricane season. Knowing how to access this information is crucial for staying ahead of the storm.

Official NOAA Websites

One of the best places to get information is the official NOAA websites, such as the National Hurricane Center (NHC). The NHC website provides real-time updates on hurricane activity, including the location, intensity, and projected path of storms. You can find detailed maps, satellite images, and forecast discussions. The website is regularly updated, so it is a reliable source for the latest information. Other NOAA websites, like the National Weather Service (NWS), also provide hurricane-related information. Make sure you use credible sources, like the official NOAA websites, to ensure that the information you receive is accurate.

Weather Apps and News Outlets

Many weather apps and news outlets also provide information on hurricanes. These apps often pull data directly from NOAA and other sources. You can use these apps to get real-time updates and notifications. However, always double-check the source of the information. Check to see if the information is coming from a reliable source. If you rely on weather apps or news outlets, be sure to verify the information with official NOAA sources. This combination of apps and official sources ensures you get the most accurate and up-to-date information.

Social Media and Emergency Alerts

Social media can also be a source of information. Many official NOAA accounts and local emergency management agencies use social media to share updates and warnings. Following these accounts can help you stay informed. Be aware that not all information on social media is accurate. Be sure to follow official sources, such as NOAA, for the most reliable information. Emergency alerts, such as Wireless Emergency Alerts (WEA), are another important way to stay informed. These alerts are sent directly to your mobile phone and provide critical information during emergencies. Be sure to enable these alerts on your phone to receive timely warnings.

Conclusion

So, there you have it! The NOAA satellite hurricane tracker is an incredible technology that helps us monitor and prepare for hurricanes. From the advanced instruments on the satellites to the sophisticated data analysis and communication systems, it’s a testament to human ingenuity. These satellites provide a comprehensive view of hurricanes, giving us the information we need to stay safe during hurricane season. They are absolutely critical to saving lives and reducing damage from these dangerous storms.

Hopefully, this guide has given you a better understanding of how these satellites work and why they’re so important. Remember, staying informed and prepared is the best way to protect yourself and your loved ones. Stay safe out there, and be sure to follow official sources for the latest updates during hurricane season! Now that you know all about the NOAA satellite hurricane tracker, you can feel confident and well-informed. Stay safe, and thanks for reading!