OSC Hurricane History: The Strongest Storms Ever

O.Franklymedia 47 views
OSC Hurricane History: The Strongest Storms Ever

OSC Hurricane History: The Strongest Storms Ever

Hey guys! Ever wondered about the most powerful hurricanes in history? If you’re anything like me, you’ve probably spent countless hours scrolling through Reddit, looking for answers. Well, you’re in luck! Today, we’re diving deep into the world of OSC (Oceanic Strength Category) hurricanes, specifically focusing on the strongest ones ever recorded. We’ll explore their intensity, the damage they caused, and why they remain etched in our memories. So, buckle up, grab your favorite snack, and let’s embark on this wild ride through the annals of hurricane history.

Unveiling the Fury: Defining Hurricane Strength

First things first, before we get to the really juicy stuff, let’s talk about how we actually measure these behemoths. The Saffir-Simpson Hurricane Wind Scale is our go-to tool for classifying hurricanes. It’s based on sustained wind speeds, categorizing storms from Category 1 (the weakest) to Category 5 (the strongest). Now, a Category 5 hurricane is no joke. These storms boast sustained winds of 157 mph or higher, capable of causing catastrophic damage. Think widespread destruction of homes, complete roof failures, and even the potential for infrastructure to collapse. Understanding this scale is crucial to appreciating the sheer power of the storms we’re about to discuss.

Now, when we’re talking about the strongest hurricanes, we often use the term “intensity”. This refers to a hurricane’s potential to cause destruction. Factors like wind speed, storm surge, and rainfall all play a part in determining the hurricane’s overall intensity. The strongest hurricanes, the ones that make it into the history books, tend to have a combination of all of these factors, resulting in a truly devastating impact. We can then dive into other factors, such as the minimum central pressure. This is a crucial measure that meteorologists use. A lower minimum central pressure generally indicates a more intense hurricane, and the pressure is measured in millibars (mb). The lower the mb, the stronger the storm.

So, as we explore these powerful storms, keep in mind that we’re talking about natural disasters that unleashed immense force. Understanding the terminology will really help you appreciate the stories.

The Titans of the Tropics: Category 5 Hurricane Hall of Fame

Alright, let’s get down to the good stuff – the hurricanes that have earned their place in history. Several Category 5 hurricanes have left an unforgettable mark on the world. Let’s explore some of the most notable ones, shall we? We are going to consider a few of the most damaging hurricanes on the planet.

Hurricane Camille (1969)

Hurricane Camille stands out as one of the most infamous hurricanes in US history. It slammed into the Mississippi coast in 1969, bringing with it sustained winds of 190 mph and a storm surge that reached an astonishing 24 feet. The damage was widespread, leaving a path of destruction through Mississippi and neighboring states. Camille’s impact was so severe that it changed the landscape forever, leveling entire communities and leaving countless people homeless. The minimum central pressure was 905 mb.

The storm’s impact was so devastating that the memory of it continues to affect and be talked about today. The storm surge was a major contributor to the catastrophe, causing extensive damage along the coastline. Homes and businesses were simply swept away by the rising water. The destruction was so widespread that there was no way to get a good count on the people affected. The impact of Hurricane Camille highlights the dangers posed by powerful hurricanes and the importance of preparedness and resilience in the face of natural disasters.

Hurricane Andrew (1992)

Hurricane Andrew wreaked havoc in South Florida in 1992, and it was the costliest hurricane in US history at the time. With sustained winds of 165 mph, Andrew caused widespread damage, particularly in the areas of Miami-Dade County. The storm’s impact was devastating, leaving many thousands homeless and causing billions of dollars in damage. One of the main factors was the poor building codes in South Florida. It demonstrated the importance of building codes and construction standards in mitigating hurricane damage.

The hurricane caused extreme and significant destruction. Many buildings were destroyed, and others had their roofs torn off. The high winds leveled trees and power lines, cutting off power to millions of residents. The storm’s path of destruction included many residential areas and commercial districts, leading to major impacts on local and regional economies. It was a disaster, and many lessons were learned, leading to improved building codes and disaster preparedness measures in hurricane-prone areas.

Hurricane Katrina (2005)

Hurricane Katrina remains one of the most catastrophic hurricanes in US history, and it’s a storm that still resonates with so many. Katrina made landfall in 2005, causing widespread devastation across the Gulf Coast, especially in New Orleans. The storm surge breached levees, causing massive flooding that submerged a significant portion of the city. While the winds were significant, it was the catastrophic flooding that made this storm stand out. The minimum central pressure of Katrina was recorded at 902 mb.

The destruction caused by the hurricane was unprecedented. Homes and businesses were destroyed, and the economic impact was in the billions of dollars. The impact of Hurricane Katrina underscored the need for improved disaster preparedness, effective emergency response, and infrastructure improvements. The flooding that resulted from the breach of the levees caused a humanitarian crisis, displacing thousands and causing significant loss of life. Katrina’s legacy as one of the most deadly and costly hurricanes in US history is well-deserved.

Hurricane Patricia (2015)

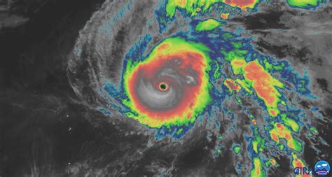
Hurricane Patricia is a truly exceptional case, holding the record for the most intense hurricane ever recorded. This storm formed in the eastern Pacific Ocean in 2015. Patricia reached sustained winds of an astounding 215 mph and had a minimum central pressure of 872 mb. This made it the strongest hurricane ever measured in terms of wind speed and minimum central pressure. Patricia thankfully made landfall in a sparsely populated area of Mexico, which significantly reduced the human toll. But the storm’s power was still evident, as it caused major flooding, landslides, and extensive damage.

While the damage was substantial, it was much less than it could have been. The area where Patricia made landfall was not densely populated, which meant fewer people were exposed to the hurricane’s fury. The Mexican government took preventive measures, including evacuations. These actions minimized the loss of life and injuries. Patricia shows that the strength of a hurricane doesn’t always translate into the same level of devastation, particularly when effective preparedness measures are in place. The storm served as a reminder of the power of nature and the importance of preparing for these storms.

The Human Cost: Beyond the Numbers

While the statistics are important, it’s essential to remember the human cost of these storms. Each hurricane represents not just a natural disaster, but also the stories of the people whose lives were changed forever. The loss of life, the displacement, and the economic hardship create ripples that extend far beyond the immediate impact of the storm.

The emotional toll of a hurricane is significant. Many people lose their homes, their possessions, and sometimes their loved ones. Rebuilding their lives can take years, and the trauma can last a lifetime. The stories of resilience and courage that emerge from these disasters are truly inspiring. It’s important to remember that behind every statistic there is a story of hardship and hope. It is equally important to come together to support and help one another. Community and support are crucial during a hurricane.

The Role of Reddit and Online Communities

As we have mentioned at the beginning, online communities, such as Reddit, have become important platforms for sharing information, experiences, and helping people deal with the aftermath of hurricanes. From real-time updates on storm tracks to discussions on preparedness and relief efforts, Reddit provides a space for people to connect and support each other. It’s a great platform to share resources. It can be a place to find help during and after the storm. Many people rely on these platforms for support, and to help in the aftermath.

Sharing Information

During a hurricane, accurate and timely information is essential. Reddit communities often serve as a source of information. Users share updates on the storm’s path, weather conditions, and evacuation orders. This real-time information is essential for people to make informed decisions and stay safe. The ability to share information can be the difference between life and death.

Personal Stories and Experiences

Reddit provides a platform for individuals to share their personal stories and experiences. People affected by hurricanes can share their struggles and their successes. These shared experiences create a sense of community, and can provide emotional support to those who need it most. Hearing about the experiences of others can help in their healing process.

Organizing Aid and Relief Efforts

Reddit communities are also instrumental in organizing aid and relief efforts. Users often share information about fundraising campaigns, donation drives, and volunteer opportunities. The platform facilitates communication and coordination between volunteers and those who need assistance. This community-based approach can be critical in helping people in their time of need.

So, what does the future hold? There’s a growing body of scientific evidence suggesting that climate change is having an impact on hurricane intensity. As the planet warms, ocean temperatures are rising, providing more fuel for hurricanes. This means we could see more intense storms in the years to come.

Moreover, changes in the environment could influence the way hurricanes develop. Some scientists believe that climate change could make hurricanes more intense and potentially lead to changes in their tracks. It’s vital that we understand the connection between climate change and hurricanes. This will influence how we prepare for, respond to, and adapt to these storms.

The scientific community continues to study the effects of climate change. With better understanding, they can provide more accurate forecasts. It’s important to keep up with the latest findings and to take actions to mitigate climate change. It is also important to build more resilient communities that are more able to deal with these storms.

Final Thoughts: Staying Prepared and Informed

Hurricanes are a stark reminder of nature’s power. By understanding their strength, impact, and history, we can better prepare for the future. The stories of the strongest hurricanes underscore the need for preparedness, resilience, and community support.

Always stay informed about the weather conditions in your area. Develop an emergency plan, and create an emergency kit. By taking these steps, you can protect yourself and your family. Online resources like Reddit can offer valuable information, updates, and support. Remember, we’re all in this together. Stay safe, stay informed, and always be prepared.

That’s all for today, guys! I hope you found this exploration of hurricane history as fascinating as I do. Keep an eye out for more content, and don’t forget to stay safe out there! Also, if you know of any other strong hurricanes, feel free to add them to the list! We’re always learning, and we’re always here to share the latest in everything regarding hurricanes! Thanks for reading! Have a great one!