Track Hurricanes Live: Satellite Data & NOAA Updates

O.Franklymedia 46 views
Track Hurricanes Live: Satellite Data & NOAA Updates

Track Hurricanes Live: Satellite Data & NOAA Updates

Hey everyone! Ever wondered how meteorologists keep tabs on those massive swirling storms we call hurricanes? Well, it’s a fascinating mix of cutting-edge technology and good old-fashioned observation. Today, we’re diving deep into the iihurricane tracker , exploring how live satellite imagery and data from the NOAA help us understand, predict, and stay safe during hurricane season. Let’s get started, shall we?

Understanding the IIHuricane Tracker: Your Digital Hurricane Hub

So, what exactly is the iihurricane tracker ? Think of it as your one-stop digital hub for all things hurricane. It’s a comprehensive resource that pulls together information from various sources, giving you a real-time view of what’s happening in the world of tropical cyclones. The core of this system is the integration of multiple data streams, and it is a complex, yet streamlined, portal. The iihurricane tracker doesn’t just show you where a hurricane is; it provides a wealth of information. This includes the storm’s current location, its projected path, wind speeds, pressure readings, and even the potential impacts on specific areas. Users can often access interactive maps, which allow them to zoom in on specific regions and track the storm’s progress with remarkable accuracy. This level of detail is crucial for both emergency responders and everyday citizens, as it allows for informed decision-making. The beauty of the iihurricane tracker is its accessibility. You don’t need to be a meteorologist to understand the information presented. The data is usually displayed in an easy-to-read format, with clear visuals and concise explanations. The tracker often incorporates color-coded maps, which help to quickly convey the intensity of the storm and the areas most at risk. Many trackers also provide historical data, allowing you to compare the current hurricane to past storms and gain a better understanding of its potential impact. Furthermore, these trackers are constantly being updated, as new data becomes available, ensuring that the information is always as up-to-date as possible. From this iihurricane tracker , we can determine the intensity and its current status, making it the perfect tool to determine its current threat level.

Beyond just providing raw data, the iihurricane tracker often includes expert analysis and commentary. Many platforms feature insights from meteorologists, who provide context for the data and explain the significance of the storm’s behavior. This can be especially helpful for those who may not be familiar with the complexities of hurricane forecasting. They can interpret the data, providing more context to give the readers a better understanding of what to expect. Understanding what the iihurricane tracker is can provide a better understanding of what tools are available and how to use them to prepare, and possibly save lives. Ultimately, the iihurricane tracker is a powerful tool for anyone who wants to stay informed about hurricanes. Its ability to aggregate data, provide real-time updates, and offer expert analysis makes it an invaluable resource during hurricane season.

The Power of Live Satellite Imagery: Seeing Hurricanes From Space

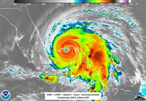
One of the most critical components of hurricane tracking is live satellite imagery. Satellites act as our eyes in the sky, providing a constant stream of visual data that allows us to monitor hurricanes in real-time. These satellites, equipped with advanced sensors, capture images of the Earth’s atmosphere, revealing the structure, size, and intensity of hurricanes. Let’s break down how this works.

First off, there are several types of satellites involved. Some, like geostationary satellites, stay fixed above a specific location on Earth, providing continuous monitoring of a particular region. Others, like polar-orbiting satellites, circle the Earth from pole to pole, offering a more comprehensive global view. Satellites use different types of sensors to gather data. Visible light sensors work much like a camera, capturing images of the clouds and storm structure during daylight hours. Infrared sensors, on the other hand, detect heat, allowing us to see the storm’s cloud tops even at night. Water vapor sensors provide valuable information about the moisture content in the atmosphere, which is a key factor in hurricane development and intensification. The imagery from these satellites is then processed and analyzed by meteorologists, who use it to determine the storm’s characteristics. They can identify the eye of the hurricane, measure the size of the storm, and assess the intensity of the winds. This information is crucial for predicting the storm’s path and potential impact.

Live satellite imagery is not just about pretty pictures. It’s a critical tool for understanding the dynamics of a hurricane. By observing the storm’s cloud patterns, meteorologists can gain insights into its behavior and make more accurate forecasts. For example, they can identify areas of convection, which indicate where the storm is most active and where the winds are strongest. They can also monitor the storm’s movement and determine whether it is strengthening or weakening. Another significant benefit of satellite imagery is its ability to provide early warning of potential hazards. Satellites can detect the formation of thunderstorms that may eventually develop into hurricanes. They can also track the movement of these storms, giving communities valuable time to prepare for their arrival. The advancement in technology has significantly improved the quality and availability of live satellite imagery, making it an indispensable tool for hurricane tracking. The real-time nature of this data is essential for providing timely warnings and ensuring the safety of people in affected areas. From these live satellite feeds, we can determine how rapidly a storm is growing, and whether it has the potential to impact land.

NOAA’s Role in Hurricane Tracking: The Science Behind the Forecast

When we talk about hurricane tracking, the NOAA (National Oceanic and Atmospheric Administration) is a name that frequently pops up. NOAA is at the forefront of hurricane research, prediction, and warning. This agency plays a pivotal role in keeping us informed and safe during hurricane season. So, what exactly does NOAA do?

NOAA operates a network of satellites, weather stations, and computer models to monitor and forecast hurricanes. They collect data from various sources, including satellites, aircraft, buoys, and land-based weather stations. This data is then fed into sophisticated computer models that simulate the behavior of hurricanes. These models are constantly being refined, thanks to advancements in computing power and our understanding of hurricane dynamics. NOAA’s National Hurricane Center (NHC) in Miami, Florida, is the primary source of hurricane forecasts and warnings for the United States. The NHC issues regular updates on active storms, including their current location, projected path, wind speeds, and potential impacts. These forecasts are based on a combination of satellite imagery, radar data, and computer model outputs. The NHC’s work is crucial for providing timely and accurate information to the public, allowing people to make informed decisions about how to prepare for a hurricane. Beyond forecasting, NOAA also conducts extensive research on hurricanes. This research helps us to better understand the formation, intensification, and movement of these storms. NOAA scientists study the atmospheric and oceanic conditions that contribute to hurricane development, and they are constantly working to improve the accuracy of hurricane forecasts.

NOAA also plays a key role in communicating hurricane information to the public. They provide a wealth of resources, including online information, public service announcements, and educational materials. Their website is a valuable resource for anyone who wants to learn more about hurricanes and how to stay safe. NOAA works closely with other government agencies, such as FEMA (Federal Emergency Management Agency), to coordinate hurricane preparedness and response efforts. They provide essential information to emergency managers, who use it to make decisions about evacuations, sheltering, and disaster relief. The combination of advanced technology, expert analysis, and effective communication makes NOAA an indispensable partner in the fight against hurricanes. Thanks to their efforts, we are better prepared to face these powerful storms and minimize their impact on our lives. From the NOAA reports, we can see the projected path, and intensity, and make proper preparations.

How to Use the IIHuricane Tracker, Live Satellite Data, and NOAA Resources

Alright, so you know what these resources are, but how do you actually use them? Let’s break down how to effectively leverage the iihurricane tracker , live satellite data, and NOAA resources to stay informed and prepared. It is important to know where to find the information and how to interpret it.

First, get familiar with the iihurricane tracker . There are many different trackers available online, so find one that you find easy to navigate and understand. Most trackers will provide a map of the storm, along with detailed information about its location, intensity, and projected path. Pay close attention to the forecast cone, which indicates the area where the storm is most likely to track. Look for the areas that are being impacted by the storm, and plan your preparations around these. Understand the terminology used in the tracker. For example,